Skip to content
  • Home
  • About Us
    • Our Team
  • Services
  • Portfolio
  • Contact Us
  • Home
  • About Us
    • Our Team
  • Services
  • Portfolio
  • Contact Us

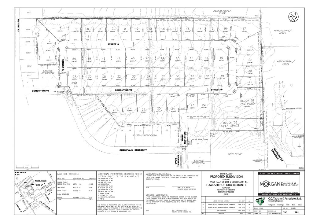
Demont Drive Subdivision

Demont Drive Subdivision, Warminster Settlement Area, Oro-Medonte

MORGAN Planning & Development acted as both planning consultant and project manager to facilitate approval of concurrent Draft Plan of Subdivision and Zoning By-law Amendment applications for the Demont Drive Subdivision located within the Warminster Settlement Area in the Township of Oro-Medonte. The approvals permit the development of a 50-lot residential subdivision consisting of single detached dwellings. Planning services for the project were led by Principal Planner Josh Morgan, MCIP, RPP.

Navigation

  • Home
  • About Us
  • Services
  • Portfolio
  • Contact

Contact Us

  • Phone: 705-327-1873
  • Email: mcooper@morganplanning.ca
  • Office: 21 Matchedash St. S #101
  • Privacy Policy
  • Site Map