Skip to content
  • Home
  • About Us
    • Our Team
  • Services
  • Portfolio
  • Contact Us
  • Home
  • About Us
    • Our Team
  • Services
  • Portfolio
  • Contact Us

2060 Division Rd, Severn

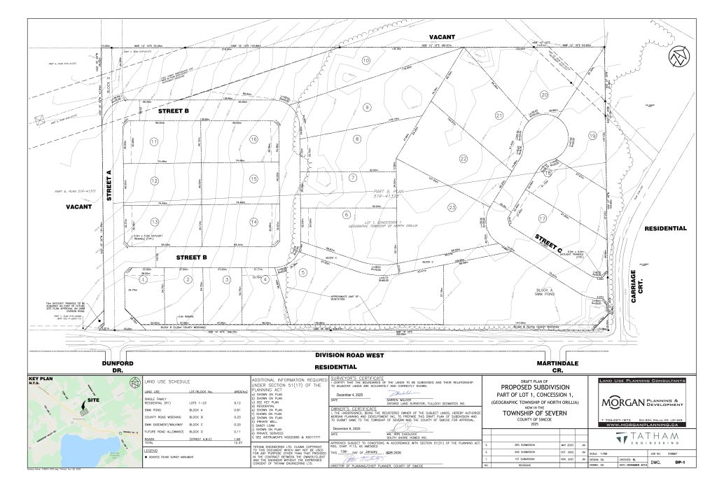
2060 Division Road Subdivision, Marchmont Settlement Area, Severn

MORGAN Planning & Development acted as both planning consultant and project manager to facilitate the approval of concurrent Draft Plan of Subdivision and Zoning By-law Amendment applications for the Division Road Subdivision located within the Marchmont Settlement Area in the Township of Severn. The approvals established development permissions through the delineation of natural heritage features and the definition of appropriate development footprints, ultimately enabling the creation of a 23-lot residential subdivision. Planning services for the project were led by Principal Planner Josh Morgan, MCIP, RPP.

Navigation

  • Home
  • About Us
  • Services
  • Portfolio
  • Contact

Contact Us

  • Phone: 705-327-1873
  • Email: mcooper@morganplanning.ca
  • Office: 21 Matchedash St. S #101
  • Privacy Policy
  • Site Map